こんばんは!
本日も沢山のご来店誠にありがとうございました!!
NEW YORK JOE
独自のトレードシステムはご存知ですか?
当店では買取だけではなく店内商品と交換が行える
トレードシステムがございます💥
当店で買取を出して頂き、
その時の混雑状況でお時間が前後してしまいますので
終わり次第お電話にご連絡させて頂く形になります。
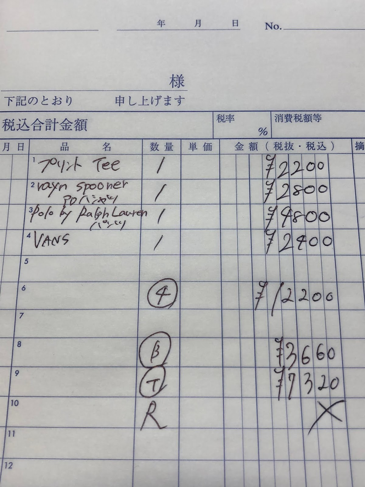
今回はこちらの3点の衣類を持ち込みました。
プリントカットソー
Polo by Ralph Lauren / ラケット刺繍コットンパンツ
VANS / DENIM ERA
現金で受け取りの場合は
30%の3,660円でのお支払いとなりますが
トレードシステムご利用の方は倍額で
60%の7,320円分の店内商品と交換が行えます!
店内で欲しいアイテムを探して頂き、
3点のアイテムを選びました!
プリントカットソー
¥1,800+TAX
キューバシャツ
¥2,400+TAX
Old Dickies / バギーショーツ
¥1,800+TAX
TOTAL ¥7,000+TAX
トレードの金額を超える場合は
差額を現金で清算して頂く形となります♪
差額を現金で清算して頂く形となります♪
今回は選ばれたアイテムの税込金額は¥7,560円ですので
トレード金額の¥7,320を差し引いて、
差額¥240円で商品を手に入れることができました♪
5/17 New Arrival / Men's
agnés b. homme / ボーダーカットソー
UNUSED / デザインカットソー
Stussy / ビッグシルエットチェックシャツ
COMME des GARÇONS HOMME / ニットカーディガン
TTT_MSW / プルオーバーパーカ
Burberrys / トレンチコート (asis)
adidas ATP / トラックパンツ
GRAMICCI / ナローパンツ
Reebok / INSTAPUMP FURY
Blundstone / サイドゴアブーツ
5/17 New Arrival / Lady's
tricot COMME des GARÇONS / ノーカラーブラウス (asis)
メキシカンパーカ
AMERI / シースルーレオパードガウン
Vintage / コットンレースエプロンワンピース
I am I in fact... / 総柄ワンピース
Lily Brown / ハイウエストタックパンツ
CARVEN / エンボスミニスカート
Vintage / シースルーハット
-----------------------------------------------------
Address: 1-15-14 Minamicho, Kichijoji, Musashinoshi, Tokyo 1800003 JAPAN
TEL/FAX 0422 26 9355
TWITTER:http://twitter.com/joe_kichijoji
EVERY DAY 12:00 - 20:00
----------------------------------------------------------------
NEW YORK JOE KICHIJOJI










































